Thứ Ba, 18/11/2025
Đọc báo in
Chính trị
Tòa án
Pháp đình
Pháp luật
Xã hội
Văn hóa- Thể thao
Kinh tế
Thế giới
Bạn đọc
Podcast
Video
Giáo dục
Bảo vệ nền tảng tư tưởng của Đảng
Phóng sự - Ghi chép
Nhắn tin
Cải chính
Công lý xưa và nay
Thông tin doanh nghiệp
Tin địa phương
Chống khai thác IUU
Bảo vệ nền tảng tư tưởng của Đảng
Phóng sự - Ghi chép
Nhắn tin
Cải chính
Công lý xưa và nay
Thông tin doanh nghiệp
Tin địa phương
Chống khai thác IUU
Đọc báo in
Chính trị
Tòa án
Tiêu điểm
Cải cách tư pháp
Phong trào thi đua
Tòa án địa phương
Nghiệp vụ
Pháp đình
Ký sự pháp đình
Tòa tuyên án
Pháp luật
Hồ sơ vụ án
An ninh trật tự
Tư vấn pháp luật
Xã hội
Đời sống
Môi trường
Sức khỏe
Giao thông
Văn hóa- Thể thao
Văn hóa - Du lịch
Âm nhạc - Phim
Thể thao
Kinh tế
Doanh nghiệp - Doanh nhân
Bất động sản
Tài chính - Ngân hàng
Bảo vệ người tiêu dùng
Thế giới
Chuyển động
Vụ án nổi tiếng
Chuyện lạ bốn phương
Bạn đọc
Nhịp cầu Công lý
Vấn đề quan tâm
Nhân ái
Hồi âm
Podcast
Video
Giáo dục
Bảo vệ nền tảng tư tưởng của Đảng
Phóng sự - Ghi chép
Nhắn tin
Cải chính
Công lý xưa và nay
Thông tin doanh nghiệp
Chống khai thác IUU
thương mại
Việt Nam-Kuwait chính thức nâng cấp quan hệ lên Đối tác chiến lược
Ngày 17/11, trong khuôn khổ chuyến thăm chính thức Nhà nước Kuwait, tại Cung điện Bayan, thủ đô Kuwait, Thủ tướng Chính phủ Phạm Minh Chính đã hội đàm với Thủ tướng Nhà nước Kuwait Sheikh Ahmad Al-Abdullah Al-Sabah.
Chính trị
Cao điểm chống buôn lậu, gian lận thương mại dịp Tết
Khi thị trường bước vào giai đoạn sôi động nhất trước Tết Bính Ngọ 2026, tỉnh Phú Thọ triển khai kế hoạch cao điểm nhằm siết chặt kiểm tra, xử lý buôn lậu, gian lận thương mại và hàng giả.
TMĐT Việt Nam chuyển dịch từ lượng sang chất
Thương mại điện tử (TMĐT) đang chuyển từ tăng trưởng nhanh sang tăng trưởng chất, người tiêu dùng ngày càng khắt khe hơn trong việc mua hàng online và các sàn ngày càng đầu tư nhiều hơn vào Gian hàng chính hãng.
Tăng cường kiểm soát buôn lậu và hàng giả trong lĩnh vực y tế
TP. Đà Nẵng yêu cầu các cơ quan chuyên môn triển khai biện pháp ngăn chặn buôn lậu, gian lận thương mại và hàng giả trong lĩnh vực y tế. Các đơn vị được giao nhiệm vụ phối hợp chặt chẽ để bảo đảm hiệu lực quản lý và xử lý nghiêm vi phạm.
Ngày 14/11, Quốc hội thông qua Nghị quyết phân bổ ngân sách trung ương năm 2026
Hôm nay (14/11) ngày làm việc thứ 21, Kỳ họp thứ 10, Quốc hội thảo luận hai dự án Luật Xây dựng (sửa đổi) và Luật Bảo hiểm tiền gửi (sửa đổi), đồng thời tiến hành biểu quyết Nghị quyết phân bổ ngân sách trung ương năm 2026.
Yêu cầu trách nhiệm, nghĩa vụ của các chủ thể trong hoạt động livestream
Chiều 13/11, tiếp tục Kỳ họp thứ 10, Quốc hội khóa XV thảo luận ở hội trường về dự án Luật Thương mại điện tử.
Ngày 13/11, Quốc hội thông qua hai nghị quyết quan trọng
Hôm nay (13/11) ngày làm việc thứ 20 Kỳ họp thứ 10, Quốc hội sẽ tiến hành biểu quyết thông qua Nghị quyết về kế hoạch phát triển kinh tế - xã hội và dự toán ngân sách nhà nước năm 2026; đồng thời thảo luận hai dự án là Luật Viên chức (sửa đổi) và Luật Thương mại điện tử.
Chủ tịch nước Lương Cường chủ trì lễ đón chính thức Quốc vương Jordan
Nhận lời mời của Chủ tịch nước Lương Cường, Quốc vương Vương quốc Hashemite Jordan Abdullah II Ibn Al Hussein đã đến thủ đô Hà Nội, bắt đầu chuyến thăm chính thức Việt Nam vào ngày 12 - 13/11/2025.
Ngành F&B Việt Nam chuyển hướng vào trung tâm thương mại
Hiện nay, ngày càng nhiều thương hiệu tìm “chỗ đứng” trong các trung tâm thương mại, nơi mật độ khách ổn định hơn, chi phí vận hành minh bạch và môi trường tiêu dùng chuyên nghiệp.
Bảo đảm tuyệt đối an toàn thông tin của người tiêu dùng
Khẩn trương hoàn thiện các quy định pháp luật liên quan đến bảo vệ quyền lợi của người tiêu dùng trong môi trường số, các giao dịch đặc thù, đặc biệt là giao dịch xuyên biên giới, bảo đảm tuyệt đối an ninh, an toàn thông tin của người tiêu dùng.
Xuất nhập khẩu 10 tháng đạt hơn 762 tỷ USD
Theo Cục Hải quan, hoạt động xuất nhập khẩu 10 tháng năm 2025 tiếp tục tăng trưởng mạnh, với tổng kim ngạch đạt hơn 762 tỷ USD và xuất siêu gần 20 tỷ USD.
Festival Sông Hồng 2025: Nhiều hoạt động văn hóa, thể thao, thương mại đặc sắc
Chiều 10/11, Ban Tổ chức Festival Sông Hồng 2025 tổ chức họp báo công bố chương trình sự kiện, dự kiến diễn ra từ ngày 18 đến 30/11 với nhiều hoạt động văn hóa, thể thao và xúc tiến thương mại đặc sắc.
Bắc Ninh: Giá trị xuất siêu chiếm hơn 25% tổng thặng dư thương mại của cả nước
10 tháng năm 2025, tổng kim ngạch xuất, nhập khẩu hàng hóa của tỉnh Bắc Ninh đạt 149,9 tỷ USD, vươn lên vị trí dẫn đầu cả nước. Đặc biệt, giá trị xuất siêu đạt 4,9 tỷ USD, chiếm hơn 25% tổng thặng dư thương mại của cả nước.
TAND Khu vực 3 – Bắc Ninh: Không ngừng đổi mới, nâng cao hiệu quả công tác
Trong năm công tác 2025, Tòa án nhân dân (TAND) Khu vực 3 – Bắc Ninh đã đoàn kết, nỗ lực, không ngừng đổi mới nhằm vượt qua nhiều khó khăn của đơn vị mới thành lập để hoàn thành tốt công tác xét xử, công tác hòa giải tại và các phong trào thi đua.
Thứ trưởng Bộ Công Thương: Cần tấn công mạnh vào các kho hàng, cơ sở sản xuất hàng giả, hàng nhái
Để hạn chế tình trạng hàng giả hàng nhái trên các sàn thương mại điện tử hiện nay, Thứ trưởng Bộ Công Thương Nguyễn Sinh Nhật Tân cho rằng cần thực hiện đồng bộ nhiều giải pháp, trong đó các lực lượng chức năng cần tấn công mạnh vào các kho hàng, cơ sở sản xuất hàng giả, hàng nhái.
Thúc đẩy hợp tác du lịch Tuyên Quang - Văn Sơn (Trung Quốc)
Từ ngày 7/11 - 9/11, Đoàn đại biểu và diễn viên của Sở Văn hóa, Thể thao và Du lịch tỉnh Tuyên Quang đã tham dự Lễ khai mạc Hội chợ kinh tế, thương mại và du lịch biên giới Việt Nam - Văn Sơn (Trung Quốc) năm 2025 và tổ chức trao đổi làm việc về hợp tác phát triển du lịch biên giới Tuyên Quang - Văn Sơn (Trung Quốc).
Ngày hội quảng bá nông sản và kết nối giao thương cấp quốc gia
Từ ngày 14 - 16/11/2025, tại Trung tâm thương mại tỉnh Lai Châu sẽ diễn ra “Ngày hội sản phẩm vùng đồng bào dân tộc thiểu số, miền núi phía Bắc và Hội nghị kết nối giao thương” năm 2025.
Việt Nam - Lào mở rộng hợp tác đầu tư
Hội nghị Hợp tác phát triển thương mại biên giới Việt Nam - Lào lần thứ XIII tại Quảng Ninh ghi nhận kim ngạch thương mại song phương đạt mức cao nhất trong 10 năm, đồng thời mở rộng hợp tác đầu tư với nhiều dự án quy mô lớn giữa 2 nước.
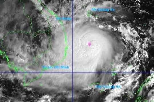
Bão số 13 mạnh lên cấp 15, Gia Lai xử lý nghiêm các hành vi đầu cơ, găm hàng, tăng giá
Sáng 6/11, bão số 13 đã mạnh lên cấp 15. Vị trí tâm bão (lúc 09 giờ ngày 06/11): Khoảng 13.1 độ Vĩ Bắc; 111.8 độ Kinh Đông, cách Quy Nhơn (Gia Lai) khoảng 290km về phía Đông Đông Nam.
BIDV TradeFlat - giải pháp để doanh nghiệp xuất nhập khẩu bứt phá
Trong bối cảnh chuyển đổi số đang tạo ra những bước tiến lớn trong hoạt động thương mại quốc tế, Ngân hàng TMCP Đầu tư và Phát triển Việt Nam (BIDV) tiên phong ra mắt BIDV TradeFlat - Hệ sinh thái số giao dịch liền mạch toàn trình đầu tiên tại Việt Nam dành cho doanh nghiệp xuất nhập khẩu.
SVEF 2025: Đà Nẵng vươn mình thành trung tâm hợp tác quốc tế mới của Việt Nam
Diễn đàn Kinh tế Thụy Sĩ - Việt Nam 2025 lần đầu tiên tổ chức tại Đà Nẵng quy tụ gần 400 đại biểu quốc tế, mở ra cơ hội hợp tác sâu rộng, khẳng định vị thế thành phố như trung tâm kết nối sáng tạo và tăng trưởng bền vững của khu vực.
Hội chợ Mùa Thu 2025: Dấu mốc mở đầu chuỗi sự kiện xúc tiến thương mại, văn hóa mang tầm quốc tế
Tối 3/11, Thủ tướng Chính phủ Phạm Minh Chính dự và phát biểu tại lễ bế mạc Hội chợ mùa Thu lần thứ nhất – 2025 tại Trung tâm Triển lãm Việt Nam (Đông Anh, Hà Nội). Thủ tướng kêu gọi cộng đồng doanh nghiệp, đồng bào và chiến sĩ cả nước tiếp tục ủng hộ đồng bào miền Trung bị lũ lụt.
Xem thêm